Pregled detalja
- Datum ažuriranja:
- 13 siječnja, 2026
- ID nekretnine
- 31822
Opis
📍 Lokacija: Nikšić – Kličevo
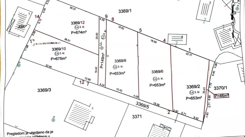
📐 Površina i tip: Građevinsko zemljište
Parcele površine:
– 653m2 (3 komada)
– 675m2 (2 komada)
Placevi se prodaju odvojeno
🏠 Opis nekretnine:
Na prodaju atraktivno građevinsko zemljište u jednoj od najperspektivnijih zona Nikšića.
Odlična prilika za buduće investitore koji žele razviti stambeni kompleks manjih gustina ili moderne individualne objekte.
✅ Dodatno:
– Namjena: stanovanje malih gustina (SMG)
– Tip gradnje: slobodnostojeći, dvojni ili objekti u nizu
– Spratnost: do 3 nadzemne etaže + podrum (garaže, tehničke ili ekonomske etaže)
– Zauzetost nadzemnim etažama: 0.3
– Zauzetost podzemnom etažom: 0.6
– Maksimalna izgrađenost: 0.8
📍 Lokacija i okruženje:
U neposrednoj blizini se nalaze:
– Osnovna škola „Milija Nikčević“
– Vrtić „Kuća mašte“
– Bulevar 13. jul
Ova pozicija nudi mirno i porodično okruženje, uz brzu vezu sa glavnim saobraćajnicama.
💶 Cijena:
26.000€ po parceli
📞 Kontakt:
📲 +382 67 85 55 88
📲 +382 67 33 73 72
🌐 www.matnekretnine.me





















